BodyScan flagra mulher com drogas no Conjunto Penal de Juazeiro
Suspeita foi detida ao tentar entrar na unidade prisional com cocaína e maconha escondidas nas partes íntimas. Caso ocorreu nesta terça (14).

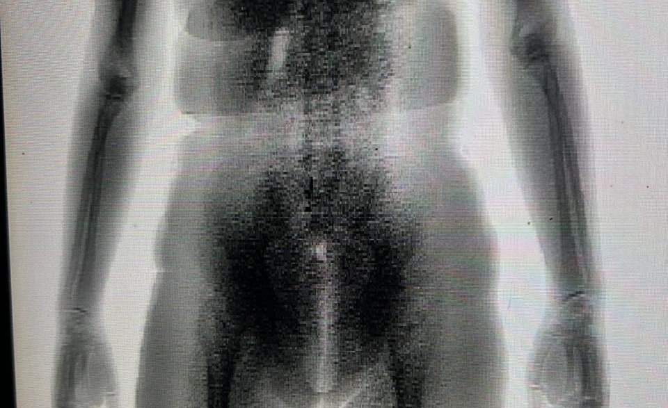
A tecnologia BodyScan ajudou, mais uma vez, a impedir a entrada de drogas no sistema prisional da Bahia.
Nesta terça-feira (14), por volta das 12h30, uma mulher foi flagrada com entorpecentes escondidos nas partes íntimas, durante a revista no Conjunto Penal de Juazeiro, no norte do estado.
A suspeita foi interceptada após passar pelo equipamento de revista corporal BodyScan. O sistema detectou volume atípico em seu corpo, o que levou à abordagem imediata.
Durante o procedimento, realizado por uma Policial Penal, a mulher confessou o crime e retirou o invólucro. O material escondido foi analisado e continha:
- 88,3 gramas de substância análoga à maconha (cannabis sativa)
- 42,9 gramas de substância análoga à cocaína
Ela recebeu voz de prisão no local e foi conduzida para a 7ª Delegacia de Tóxicos e Entorpecentes (DTE), onde foram adotadas as medidas legais cabíveis.
Tecnologia a serviço da segurança
O uso do BodyScan tem se mostrado essencial no combate ao tráfico de drogas dentro das unidades prisionais da Bahia. A ferramenta atua com alta precisão e agilidade, sem contato físico, reforçando a segurança e a legalidade dos procedimentos.




Comentários: